返回上一级

字号

打印

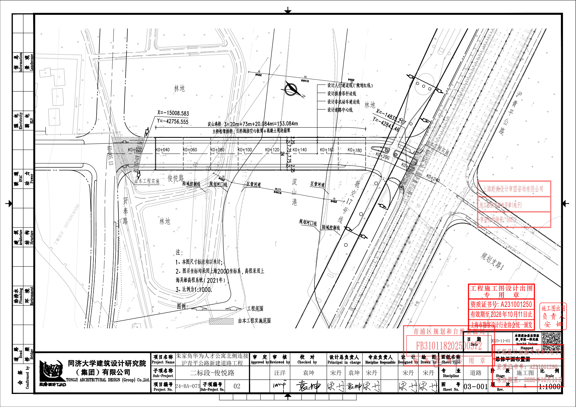
沪青建(2025)FB310118202500372规划许可公告(上海市青浦区朱家角镇人民政府) 2025-12-30

根据《中华人民共和国城乡规划法》、《上海市城乡规划条例》等有关规定,现对沪青建(2025)FB310118202500372号建设工程规划许可证及其总平面图进行公开。

上海市青浦区朱家角镇人民政府

2025年12月30日

建设工程规划许可证(FB310118202500372)_02.png

03-001_总体平面布置图_01.png