返回上一级

字号

打印

沪青建(2026)FC310118202600265规划许可公告(国网上海市电力公司青浦供电公司) 2026-02-12

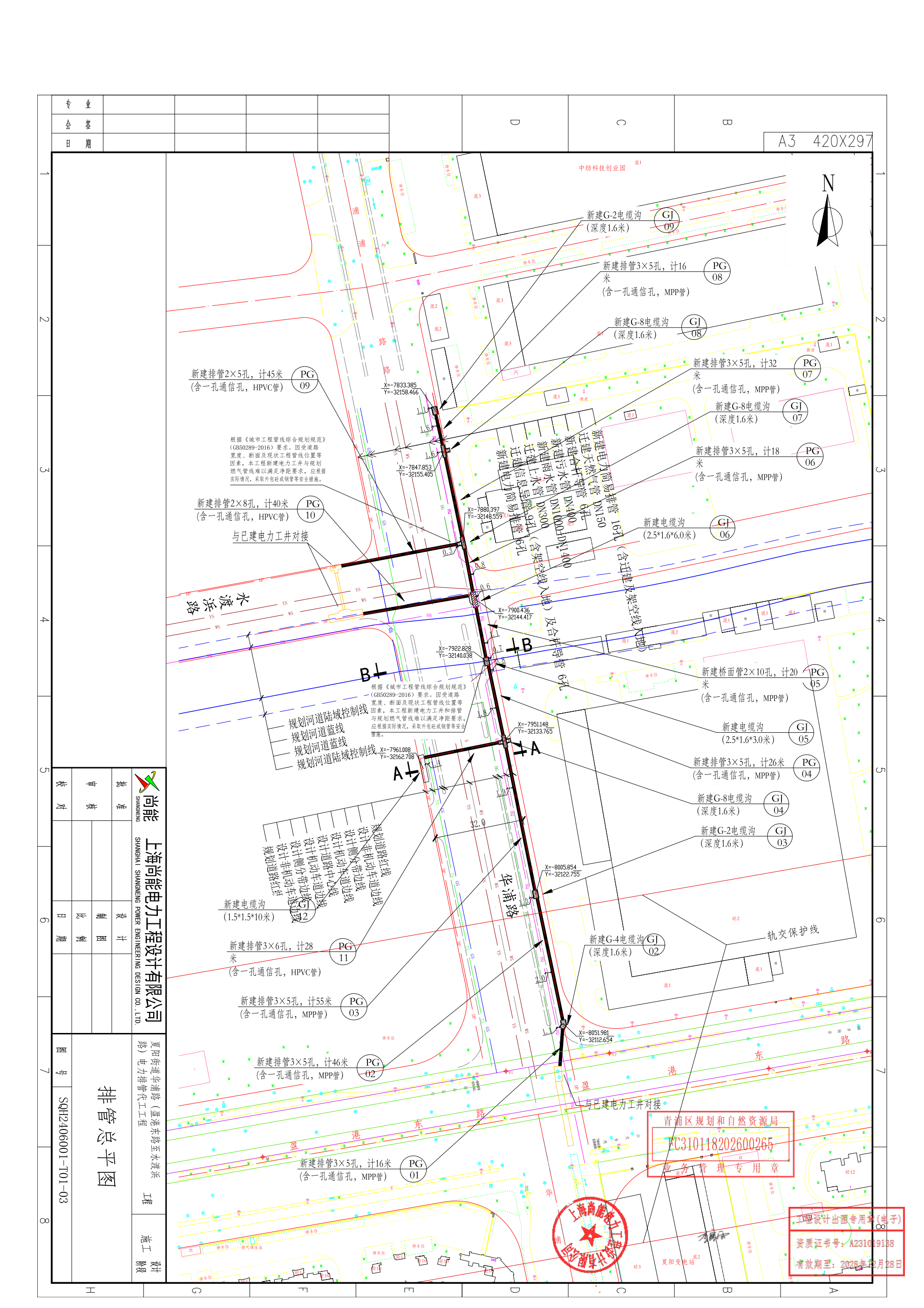
根据《中华人民共和国城乡规划法》、《上海市城乡规划条例》等有关规定,现对沪青建(2026)FC310118202600265号建设工程规划许可证及其总平面图进行公开。

国网上海市电力公司青浦供电公司

2026年2月12日

建设工程规划许可证(FC310118202600265)_02.png

9-排管总平图_01.png