返回上一级

字号

打印

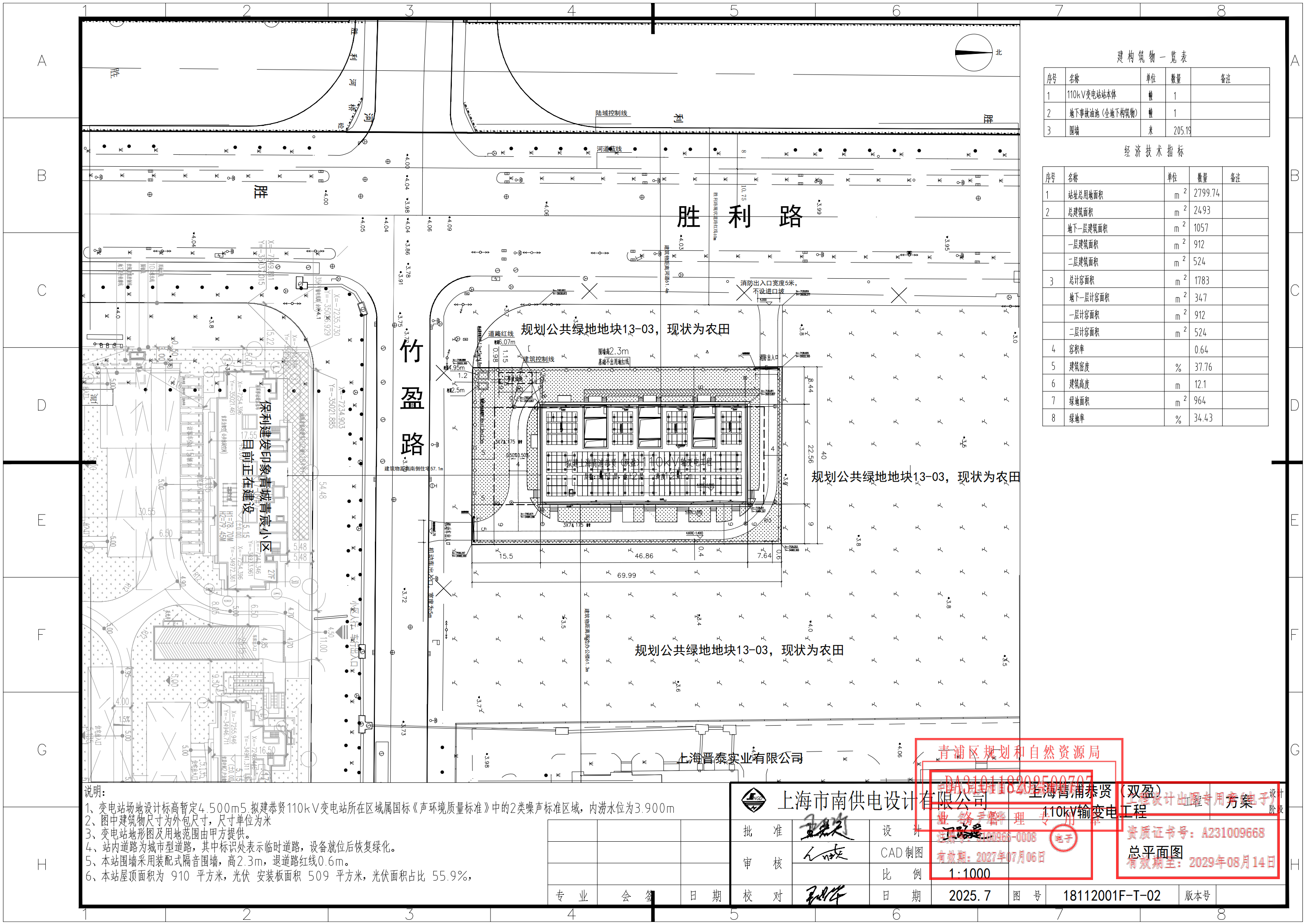
沪青方 (2025)DA310118202500707建设工程设计方案(国网上海市电力公司) 2025-09-22

8-总平面图0915_01.png