返回上一级

字号

打印

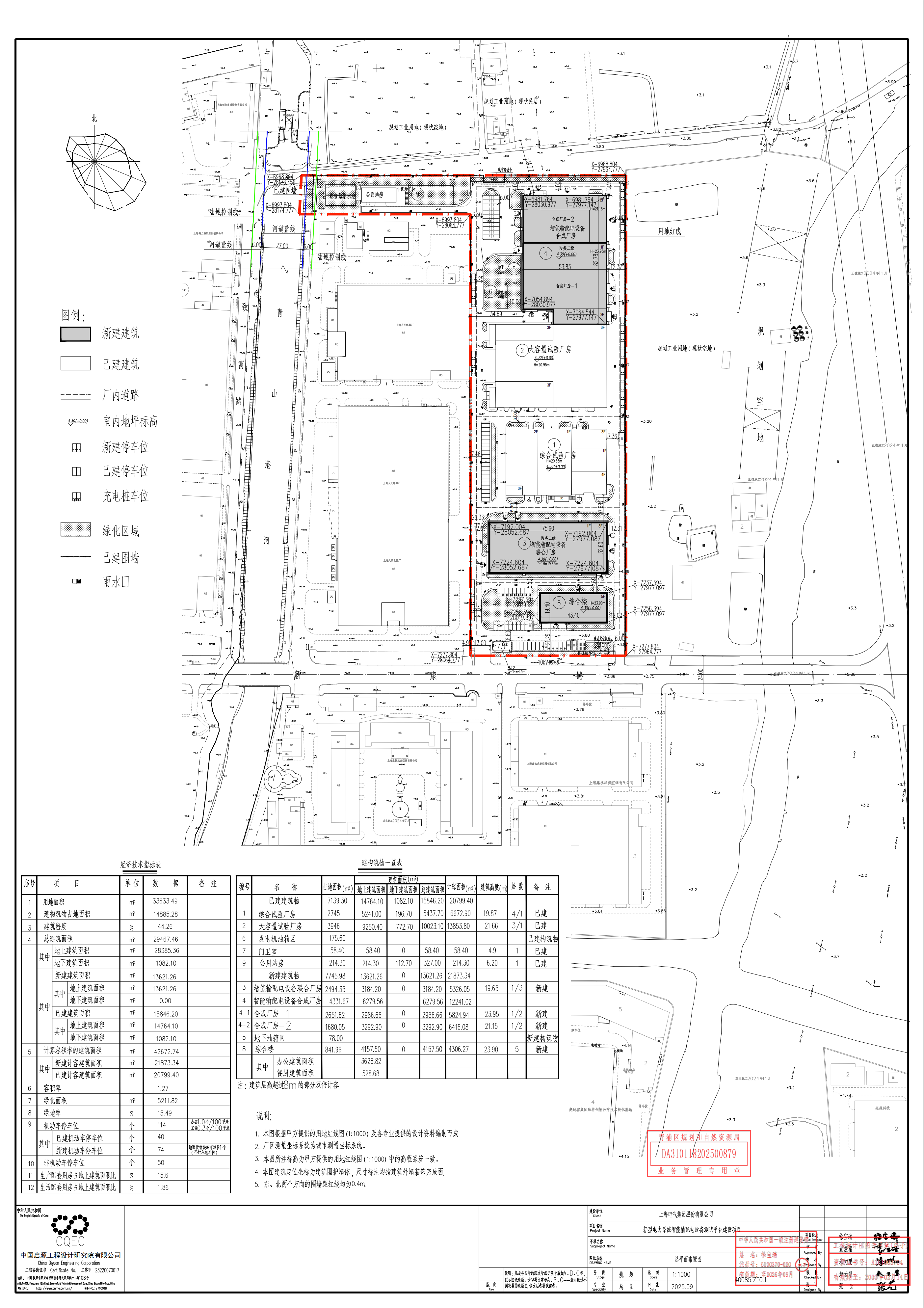
沪青方(2025)DA310118202500879建设工程设计方案(上海电气集团股份有限公司) 2025-11-20


沪青方(2025)DA310118202500879总图_01.png