返回上一级
字号
大
中
小
打印
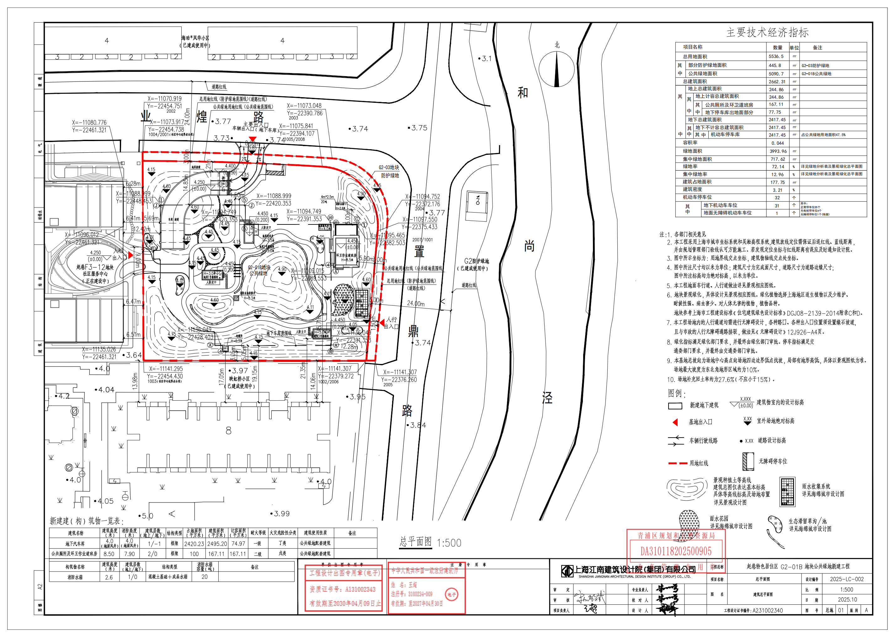
沪青方(2025)DA310118202500905号号建设工程设计方案(上海赵巷置业有限公司)
2025-11-28