返回上一级

字号

打印

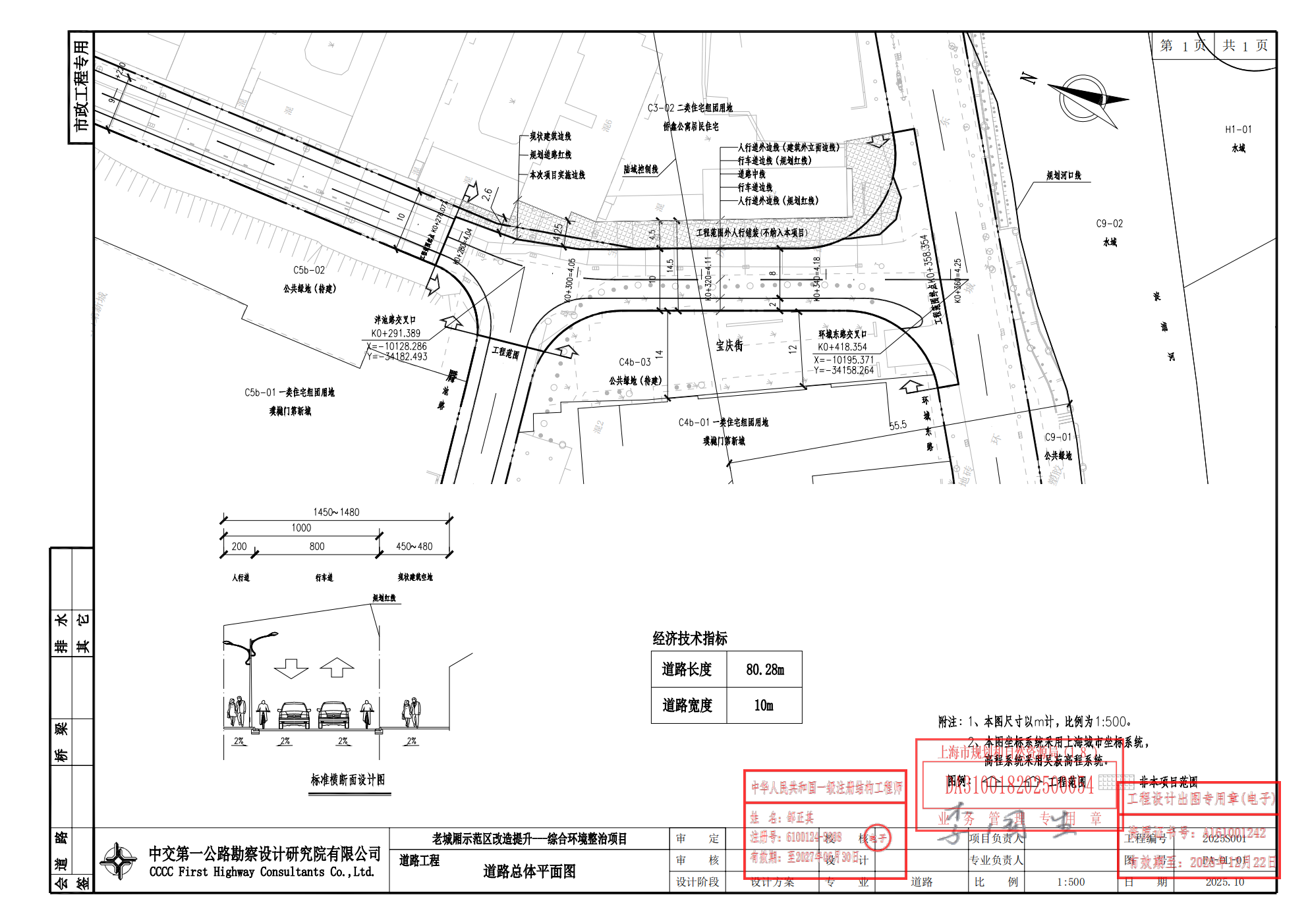
沪规方青(2025)DA310018202500054建设工程设计方案(上海青浦新城发展(集团)有限公司) 2025-11-13

总平面图-7-FA-DL-01道路总体平面图_01.png