返回上一级

字号

打印

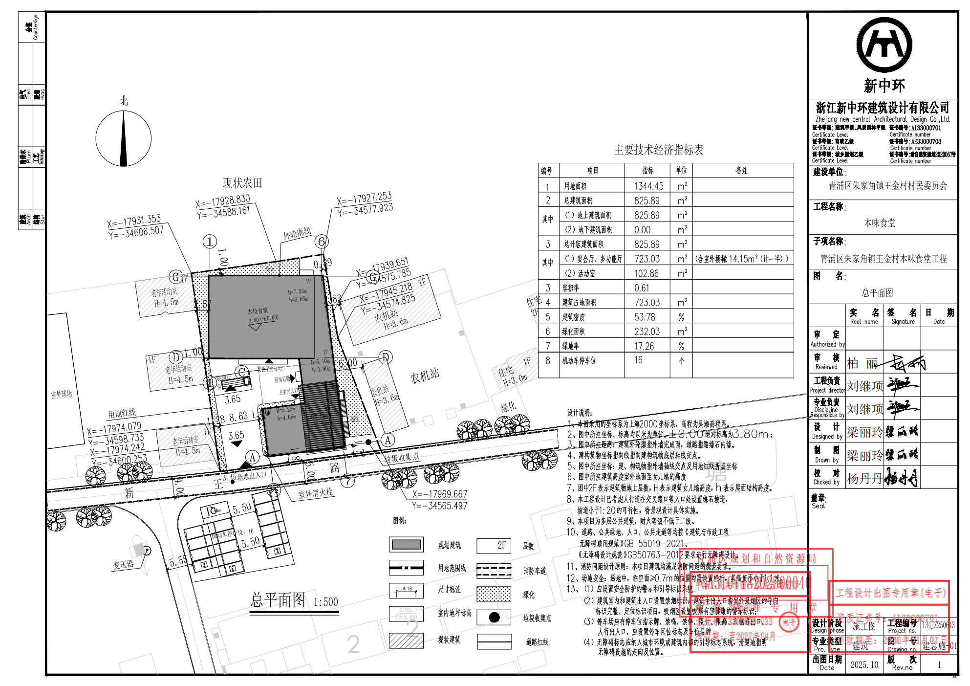
沪青乡(2025)GA310118202500040规划许可公告(青浦区朱家角镇王金村村民委员会) 2025-10-22

根据《中华人民共和国城乡规划法》、《上海市城乡规划条例》等有关规定,现对沪青乡(2025)GA310118202500040建设工程规划许可证及其总平面图进行公开。

青浦区朱家角镇王金村村民委员会

2025年10月22日

沪青乡(2025)GA310118202500040_02.png

沪青乡(2025)GA310118202500040总图_01.png