返回上一级

字号

打印

沪青建(2025)FB310118202500161规划许可公告(上海重固投资发展有限公司) 2025-07-01

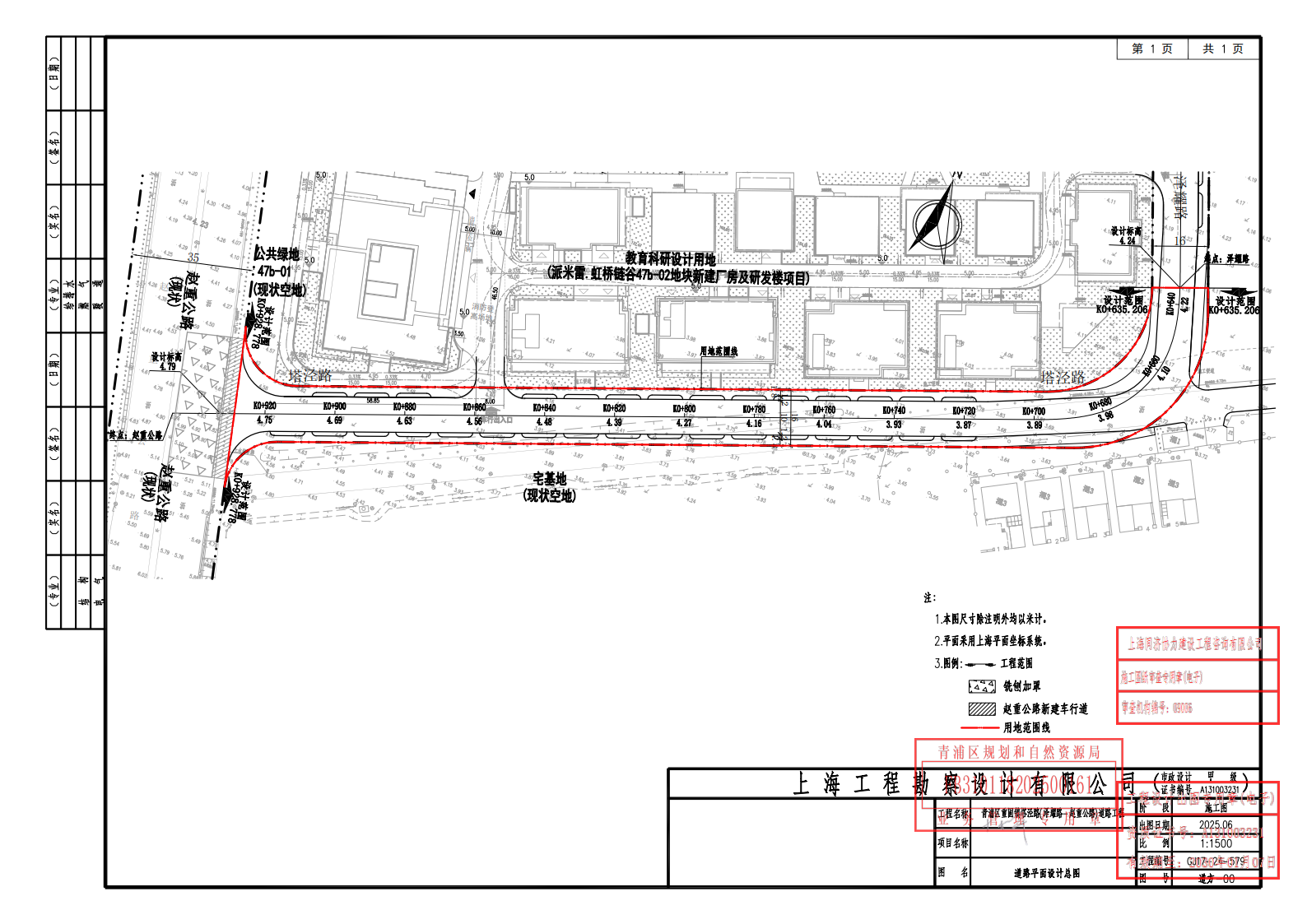
根据《中华人民共和国城乡规划法》、《上海市城乡规划条例》等有关规定,现对沪青建(2025)FB310118202500161号建设工程规划许可证及其总平面图进行公开。

上海重固投资发展有限公司

2025年7月1日

建设工程规划许可证(FB310118202500161)_01.png

平面总图签章-塔泾路(泽耀路-赵重公路)道路工程_00.png