青浦区徐泾镇双联路B6-02地块(幼儿园)项目设计方案公示 2023-09-08
公告
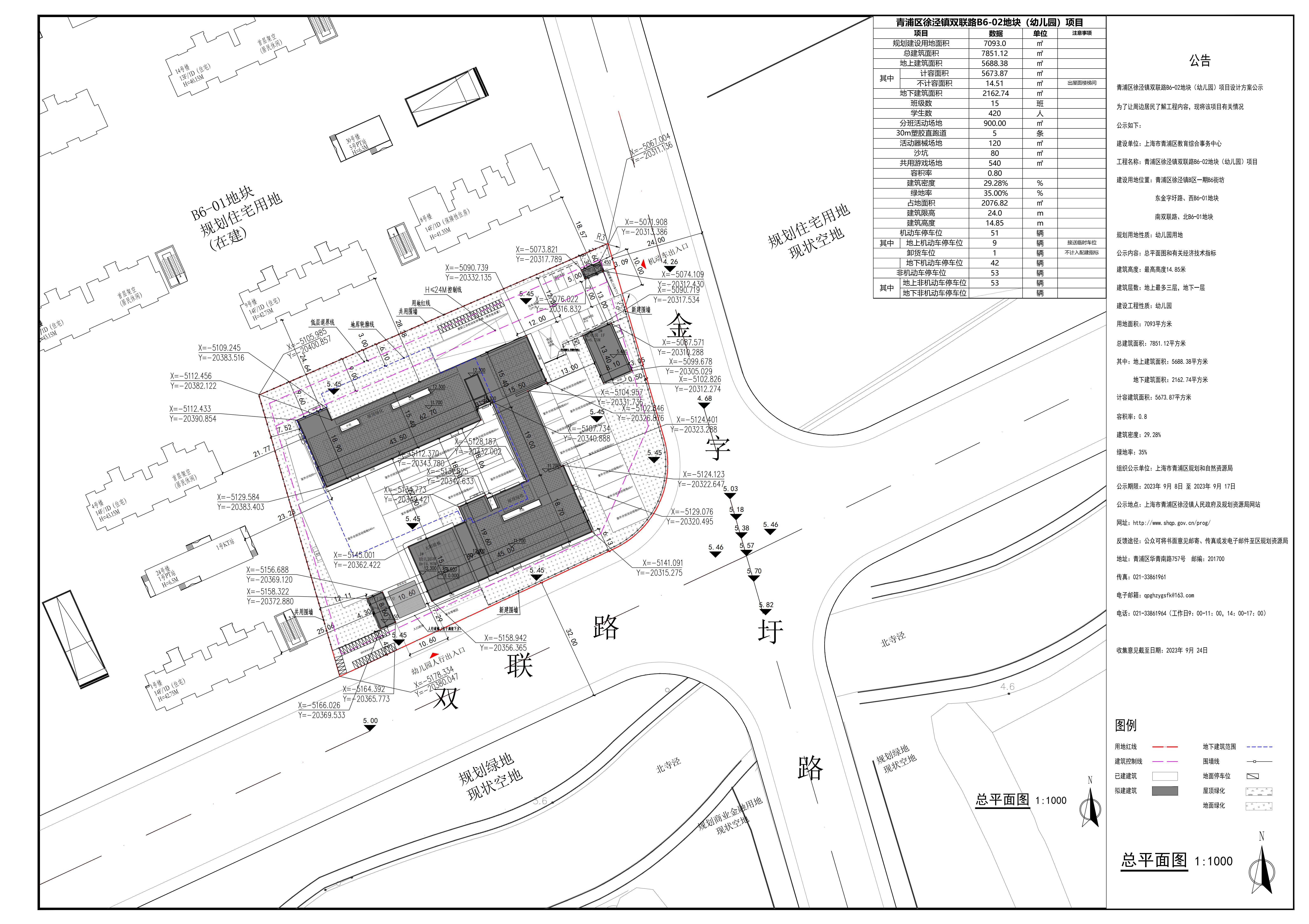
青浦区徐泾镇双联路B6-02地块(幼儿园)项目设计方案公示
为了让周边居民了解工程内容,现将该项目有关情况公示如下:
建设单位:上海市青浦区教育综合事务中心
工程名称:青浦区徐泾镇双联路B6-02地块(幼儿园)项目
建设用地位置:青浦区徐泾镇B区一期B6街坊
东金字圩路、西B6-01地块
南双联路、北B6-01地块
规划用地性质:幼儿园用地
公示内容:总平面图和有关经济技术指标
建筑高度:最高高度14.85米
建筑层数:地上最多三层,地下一层
建筑工程性质:幼儿园
用地面积:7093平方米
总建筑面积:7851.12平方米
其中:地上建筑面积:5688.38平方米
地下建筑面积:2162.74平方米
计容建筑面积:5673.87平方米
容积率:0.8
建筑密度:29.28%
绿地率:35%
组织公示单位:上海市青浦区规划和自然资源局
公示期限:2023年9月8日至2023年9月17日
公示地点:上海市青浦区徐泾镇人民政府及规划资源局网站
网址:http://www.shqp.gov.cn/prog/
反馈途径:公众可将书面意见邮寄、传真或电子邮件发至区规划资源局
地址:青浦区华青南路757号
邮编:201700
传真:021-33861961
电子邮箱:qpghzygsfk@163.com
电话:021-33861964(工作日9:00-11:00,14:00-17:00)
收集意见截止日期:2023年9月24日

