返回上一级

字号

打印

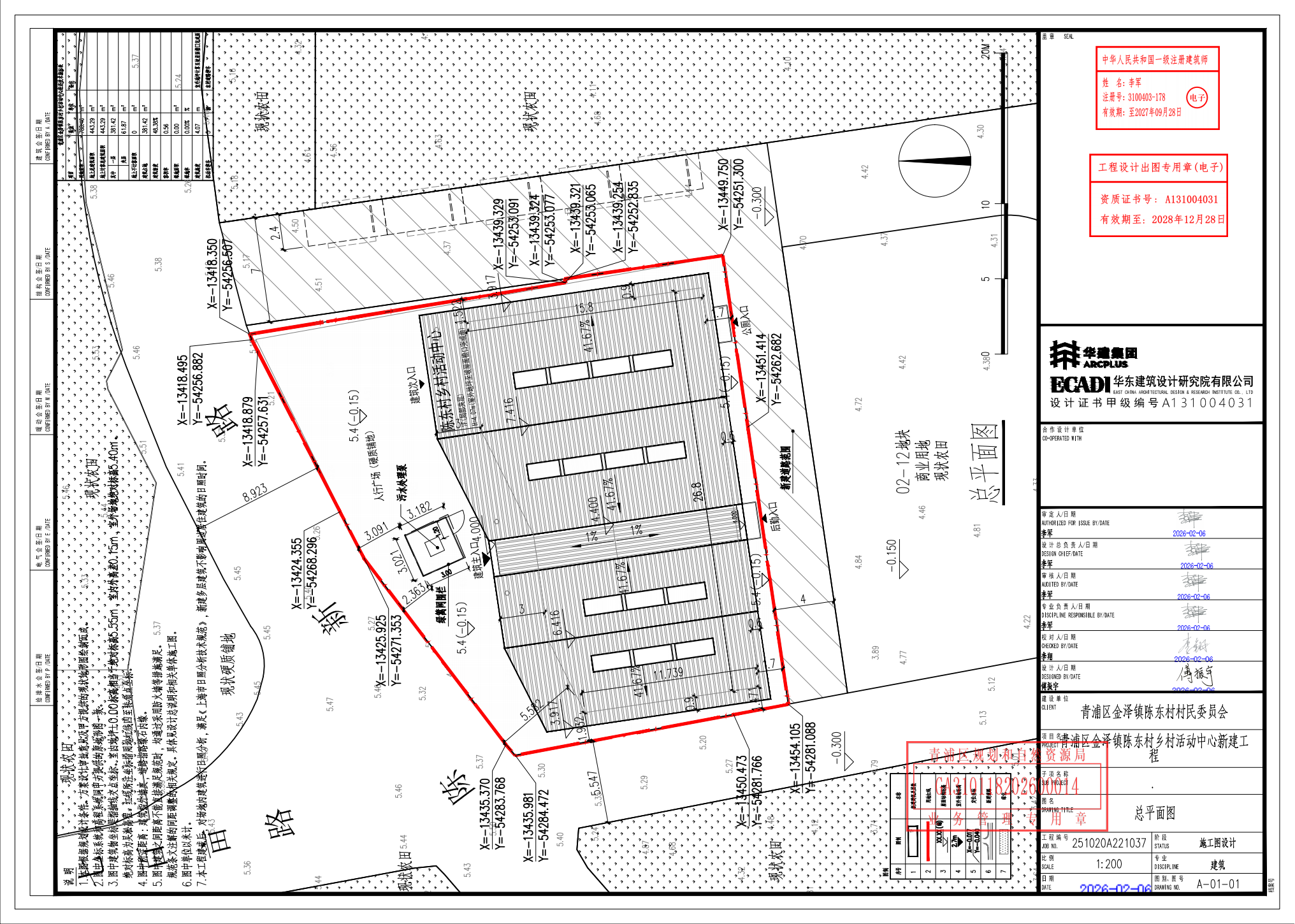
沪青乡(2026)GA310118202600014规划许可公告(青浦区金泽镇陈东村村民委员会) 2026-02-11

根据《中华人民共和国城乡规划法》、《上海市城乡规划条例》等有关规定,现对沪青乡(2026)GA310118202600014建设工程规划许可证及其总平面图进行公开。

青浦区金泽镇陈东村村民委员会

2026年2月11日

沪青乡(2026)GA310118202600014_02.png

沪青乡(2026)GA310118202600014总图_01.png